Aktualno
Vijesti -
PUTIN DOŠAO PO SVOJ DIO? Trump dobio ponudu od Rusije koja...
„Predsjednik razgovara sa svima – s Xijem, Putinom, Evropljanima – i uvijek je spreman postići dogovor. Ali to mora biti dobar dogovor. Predsjednik ne...
BiH -
Pomoć radnicima: Ko će sve imati pravo za dodatak od 300...
Vlada Federacije Bosne i Hercegovine odobrila je novu finansijsku pomoć zaposlenima kojom je omogućena isplata do 300 KM mjesečno radnicima kako bi se ublažili...
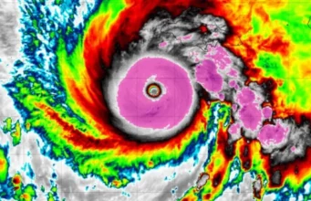
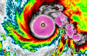
STIŽU PROMJENE VREMENA: Meteorolozi objavili kakvo nas vrijeme očekuje za BAJRAM!
Meteorolozi iz Federalnog hidrometeorološkog zavoda Bosne i Hercegovine objavili su srednjoročnu prognozu vremena za period od 9. do 24. marta 2026. godine. Prema njihovim...
SNIMAK KOJI TRESE RS: Vukanović objavio video zbog kojeg se digla...
Predsjednik Narodne skupštine Republike Srpske i lider Ujedinjene Srpske Nenad Stevandić posljednjih dana boravi u Hercegovini, gdje je prisustvovao više stranačkih događaja. Njegovo putovanje...
OŠTRA PORUKA IZ BANJA LUKE: Jelena Trivić iznijela detalje koji će...
Elektroprivreda Republike Srpske nastavila je s novim kreditnim zaduženjima i tokom 2026. godine, uprkos sve lošijim finansijskim rezultatima. Nedavno je donesena odluka o novom...
ŽESTOKI OKRŠAJ POLITIČARA: Vukanović poslao poruku Gorici Dodik koja je ŠOKIRALA...
Na društvenim mrežama ponovo je došlo do oštre rasprave između Nebojše Vukanovića, lidera Liste za pravdu i red, i Gorice Dodik, kćerke predsjednika Republike...
CVIJANOVIĆ S AMBASADOROM IZREALA: Tema razgovora pokrenula lavinu komentara…
Željka Cvijanović, članica Predsjedništva Bosne i Hercegovine, sastala se u Washingtonu s ambasadorom Izraela u Sjedinjenim Američkim Državama Yechielom Leiterom.
O susretu se oglasila na...
Crna hronika
Krvava svadba u bh. gradu: Klještima tukao mladoženju i njegovog oca?
Osnovni sud u Trebinju potvrdio je optužnicu protiv Trebinjca Rade S. (39), kojeg tužilaštvo tereti da je tokom svadbenog veselja fizički napao mladoženju Milana...
Nezapamčena tragedija na koridi u Donjem Vakufu: Bik usmrtio prolaznika
Donji Vakuf je bio poprište tragičnog incidenta tokom tradicionalne koride koja se održavala u mjestu Kutanja.
Ovaj nesrećni događaj se odigrao u poslijepodnevnim satima, kada...
Sud potvrdio kaznu od 20 godina Arminu Berberoviću
U maju 2023. godine, građani Sarajeva su bili svjedoci tragičnog događaja koji je potresao cijelu zajednicu. Armin Berberović je svojim vozilom pregazio dvije doktorice,...
“Saobraćajna tragedija kod Konjica: Otac gasio požar, kamion udario u vozilo sa djetetom”
Raskrsnica tragedije na M‑17
U općini Konjic, muškarac je zaustavio Audi Q5 uz magistralu da ugasi požar na susjednom vozilu. Iznenada je kamion iz suprotnog...
“Video: Lopovi uhvaćeni u pokušaju krađe kombija u sarajevskom naselju Hrasno”
Zabilježen pokušaj krađe
Prema izvještaju Oslobođenja i portala Crna Hronika, sigurnosna kamera na parkingu Trga heroja u Hrasnu snimila je dvojicu muškaraca kako pokušavaju provaliti...
Svijet
NEĆETE VJEROVATI! Glasnogovornik Revolucionarne garde poslao poruku Trumpu na engleskom: “Pravo ime ovog rata...
Glasnogovornik iranske Revolucionarne garde Ebrahim Zolfaghari uputio je oštru poruku američkom predsjedniku Donald Trump, ismijavajući njegove objave i način vođenja komunikacije tokom sukoba.
U poruci...
NAJNOVIJA VIJEST! REGION BRUJI: Evropa poslala jasnu poruku Trumpu
Nakon višesatnih razgovora iza zatvorenih vrata, evropski diplomati odbacili su ideju o proširenju pomorske misije EU i poručili da je sigurnosna situacija u Hormuški...
IZ MINUTE U MINUTU!: ZATRESAO SE CIJELI SVIJET: Iranska poruka odjeknula jače od raketa!
Iran je odbacio nagađanja o mogućem popuštanju i jasno poručio da nije tražio ni prekid vatre ni nove pregovore. Iranski ministar vanjskih poslova Abbas...
NAJNOVIJA VIJEST: Iranska revolucionarna garda poslala oštru poruku Izraelu, u fokusu je Netanjahu
Napetosti na Bliskom istoku dodatno su porasle nakon novog saopćenja Iranske revolucionarne garde (IRGC), u kojem je izraelski premijer Benjamin Netanyahu direktno spomenut u...
RATNA PORUKA IZ TEHERANA: Iranski general zaprijetio neprijateljima: “ Nećemo stati dok..”
Visoki iranski vojni komandant Ali Abdollahi izjavio je da su oružane snage Iran zadale ozbiljne udarce svojim protivnicima od početka sukoba sa Sjedinjene Američke...
EVO KO MOŽE REĆI “STOP” TRUMPU: Glasanje koje prati cijeli svijet
Lider demokratske manjine u Predstavnički dom Sjedinjenih Američkih Država, Hakeem Jeffries, izjavio je da će Kongres ponovo glasati o rezoluciji koja bi ograničila vojne...




















































